🌟 CẦN BÁN ĐẤT HẺM Ô TÔ – TRƯƠNG CÔNG ĐỊNH, P3 – DIỆN TÍCH 94M² – GIÁ CHỈ 68,5TR/M² – HẺM 2 Ô TÔ TRÁNH 🌿

7.21 tỷ
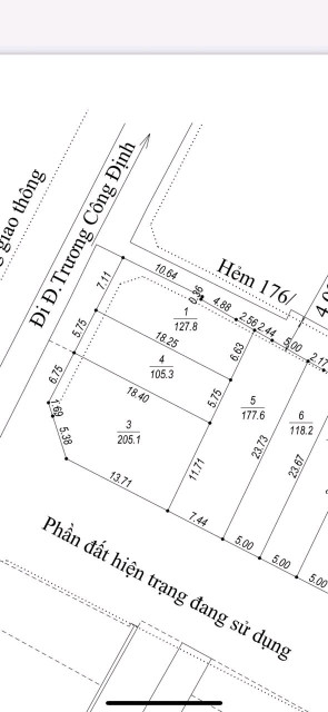
105m²
68.67 triệu /m²
1.25 tỷ /mn
Mã tin: 1546740 Cập nhật 2 ngày trước

Thông tin BĐS

Loại BĐS:
Chiều ngang:
5.75m
Vạn Cát Land gửi đến anh chị lô đất đẹp, hiếm ngay hẻm ô tô đường Trương Công Định, phường 3 – vị trí trung tâm, dễ kết nối ra các tuyến đường lớn của TP. Vũng Tàu.

📐 Diện tích linh hoạt:

5.18 × 18.3m hoặc

5.75 × 18.3m
👉 Có 80,2m² thổ cư

🚗 Hẻm 2 ô tô tránh nhau, cực kỳ thuận tiện di chuyển, giao thông thông thoáng.
🧭 Hướng Tây Bắc – hợp phong thủy, mát mẻ.
📑 Pháp lý chuẩn chỉnh: Sổ hồng rõ ràng, sang tên nhanh chóng.

✨ Điểm cộng của lô đất:

Khu vực dân cư hiện hữu, an ninh tốt.

Thích hợp xây nhà ở, mở văn phòng hoặc cho thuê lâu dài.

Vị trí ngay trung tâm, giá trị đầu tư bền vững.

💰 Giá bán: 68,5 triệu/m² – cơ hội sở hữu đất đẹp ngay trung tâm phường 3 với mức giá hợp lý.

📞 Liên hệ Vạn Cát Land để xem đất thực tế và tư vấn chi tiết.
Ngoài ra, Vạn Cát Land còn nhiều sản phẩm đất nền, nhà phố, biệt thự tại các vị trí đẹp khác ở Vũng Tàu cho anh chị lựa chọn.

Mọi thông tin, nội dung liên quan tới tin rao này là do người đăng tin đăng tải và chịu trách nhiệm. Guland.vn luôn cố gắng để các thông tin được hữu ích nhất cho quý vị tuy nhiên Guland.vn không đảm bảo và không chịu trách nhiệm về bất kỳ thông tin, nội dung nào liên quan tới tin rao này. Trường hợp phát hiện nội dung tin đăng không chính xác, Quý vị hãy thông báo và cung cấp thông tin cho Ban quản trị Guland.vn theo Hotline Chăm sóc khách hàng để được hỗ trợ nhanh và kịp thời nhất.
Tin đăng tương tự