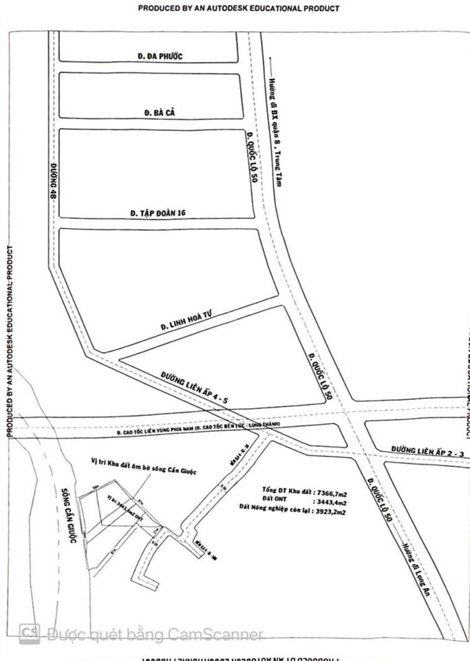
- Cần bán lô đất cập sông Cần Giuộc, Đường Quốc lộ 50, xã Đa Phước, Huyện Bình Chánh, TP. HCM.
- Vị trí nằm ngay sát đường Cao Tốc Liên Vùng Phía nam (Đ Cao Tốc Bến lức - Long Thành). Đi về các quận trung tâm 15p. Hướng về Qui Đức Long An các tỉnh miền Tây lân cận, vị trí đất được 100m giáp mặt tiền ven sông Cần Giuộc.
- Thích hợp cho nhà đầu tư đất khu vực ven sông.
- Tổng DT khu đất: 7366,7m² (3 sổ) đã chuyển MĐ đất ở Nông thôn: 3443,4m².
- Giá tổng khu đất: 73tỷ660 (giá còn thương lượng).
Xem thêm
Mọi thông tin, nội dung liên quan tới tin rao này là do người đăng tin đăng tải
và chịu trách nhiệm. Guland.vn luôn cố gắng để các thông tin được hữu ích nhất
cho quý vị tuy nhiên Guland.vn không đảm bảo và không chịu trách nhiệm về bất kỳ
thông tin, nội dung nào liên quan tới tin rao này. Trường hợp phát hiện nội dung
tin đăng không chính xác, Quý vị hãy thông báo và cung cấp thông tin cho Ban
quản trị Guland.vn theo Hotline Chăm sóc khách hàng để được hỗ trợ nhanh và kịp
thời nhất.
Tính năng hoặc nội dung này chỉ dành cho thành viên của GuLand.vn
Bạn vui lòng Đăng ký hoặc Đăng nhập để xem và sử dụng
tính
năng dành riêng cho thành viên, hoặc vui lòng liên hệ chuyên viên tư vấn để được trợ giúp
và
hướng dẫn: