NHÀ ĐẸP TÂN THỚI NHẤT 7 – TRUNG TÂM QUẬN 12 – GẦN CHUNG CƯ TECO

10.5 tỷ
88m²
119.32 triệu /m²
2.33 tỷ /mn
Mã tin: 1570660 Cập nhật 1 tuần trước

Thông tin BĐS

Loại BĐS:
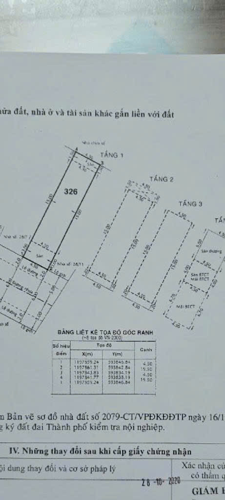
Chiều ngang:
4.5m
Chiều dài:
20m
Số tầng:
4
Vị trí:
Đường chính
Hướng cửa chính:
Nam
Đường/hẻm vào rộng:
10m
Loại đường:
Đường nhựa
Pháp lý:
Có sổ hồng
NHÀ ĐẸP TÂN THỚI NHẤT 7 – TRUNG TÂM QUẬN 12 – GẦN CHUNG CƯ TECO

DT: 87,7m² – ngang 4,5m vuông vức

Kết cấu: 1 trệt 3 lầu, tổng 4PN – 6WC – sân thượng thoáng mát

Chủ xây dựng kiên cố để ở – chắc chắn, bền vững.

Nội thất gỗ rời có thể thương lượng thêm với khách.

Ngay trung tâm Quận 12. Kề bên chung cư Teco – khu dân cư sầm uất, đầy đủ tiện ích. Thích hợp vừa ở vừa cho thuê mở văn phòng công ty, căn hộ dịch vụ…

Sổ hồng riêng – ngân hàng giữ hộ – công chứng sang tên ngay.

Nhà kiên cố, pháp lý chuẩn, vị trí đẹp – lựa chọn an cư & đầu tư cực kỳ lý tưởng!

ACE quan tâm liên hệ: 0909.805.456 Ms Mỹ gặp chủ - xem pháp lý và làm việc trực tiếp bên bán.

Xin cảm ơn!!!

Mọi thông tin, nội dung liên quan tới tin rao này là do người đăng tin đăng tải và chịu trách nhiệm. Guland.vn luôn cố gắng để các thông tin được hữu ích nhất cho quý vị tuy nhiên Guland.vn không đảm bảo và không chịu trách nhiệm về bất kỳ thông tin, nội dung nào liên quan tới tin rao này. Trường hợp phát hiện nội dung tin đăng không chính xác, Quý vị hãy thông báo và cung cấp thông tin cho Ban quản trị Guland.vn theo Hotline Chăm sóc khách hàng để được hỗ trợ nhanh và kịp thời nhất.
Tin đăng tương tự