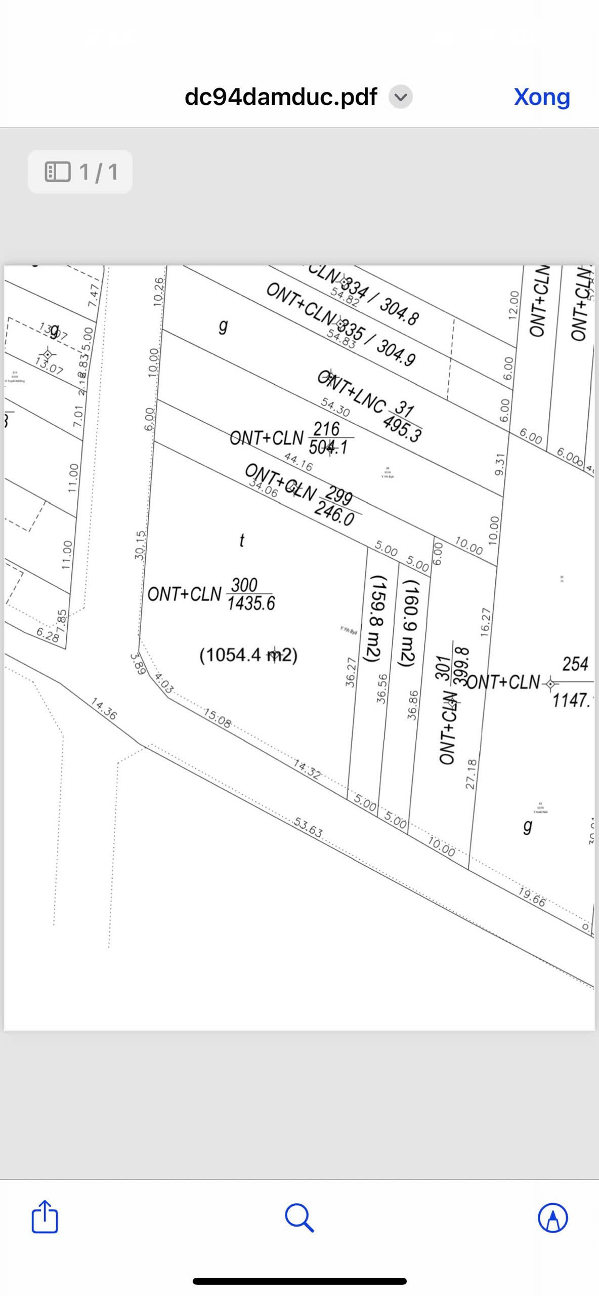
✈️ Phường Eakao hai lô liền kề mặt tiền đường nhựa thông thoáng DT 5x36m
_________________________
💥Pháp lý – Diện Tích
– Diện tích:5x36m ( hai lô LK)
– Pháp lý: thổ cư 60m
– Hướng: Nam
💸 Giá: 690tr ( thương lượng)
💥 Đất đẹp, bằng phẳng nằm đường nhựa thông thoáng, cách mặt tiền Y Wang ND chỉ 200m. Khu dân cư đông đúc, tiện ích cận kề.
👍 Hồ Eakao tiềm năng du lịch nghỉ dưỡng, Đất gần khu quy hoạch biệt thự và sân Golf ven hồ, tiềm năng tăng giá
💯Gần Khu Du dịch Hoàng Nam Và Hồ Eakao, gần đường chánh HCM
Mọi thông tin, nội dung liên quan tới tin rao này là do người đăng tin đăng tải
và chịu trách nhiệm. Guland.vn luôn cố gắng để các thông tin được hữu ích nhất
cho quý vị tuy nhiên Guland.vn không đảm bảo và không chịu trách nhiệm về bất kỳ
thông tin, nội dung nào liên quan tới tin rao này. Trường hợp phát hiện nội dung
tin đăng không chính xác, Quý vị hãy thông báo và cung cấp thông tin cho Ban
quản trị Guland.vn theo Hotline Chăm sóc khách hàng để được hỗ trợ nhanh và kịp
thời nhất.
Tính năng hoặc nội dung này chỉ dành cho thành viên của GuLand.vn
Bạn vui lòng Đăng ký hoặc Đăng nhập để xem và sử dụng
tính
năng dành riêng cho thành viên, hoặc vui lòng liên hệ chuyên viên tư vấn để được trợ giúp
và
hướng dẫn: