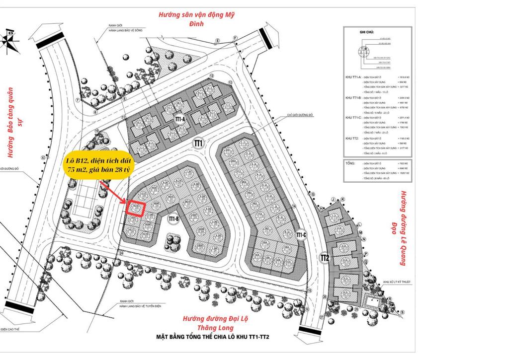
Liền kề 75m2, 3 tầng 1 tum sẵn sổ đỏ, gần lê quang đạo, châu văn liêm, đại lộ thăng long 28 tỷ

28 tỷ
75m²
373.33 triệu /m²

Thông tin BĐS

Loại BĐS:
Bán căn Liền kề Tây Nam Mễ Trì, Phú Đô, Nam Từ Liêm, Hà Nội.
Lô B12, diện tích đất 75 m²; xây dựng 3 tầng 1 tum, đầy đủ công năng, thiết kế hiện đại, sổ đỏ cất két, sẵn sàng sang tên.
Khu vực nóng, tiềm năng tăng giá đột biến với hàng loạt dự án trọng điểm đang gấp rút chuẩn bị triển khai: 36 bộ ban ngành, Vinhomes Green Bay 2,... hạ tầng đang đồng bộ được hoàn thiện.
Xung quanh vô vàn tiện ích: Công viên Mễ Trì, bệnh viện Hồng Ngọc, sân vận động quốc gia Mỹ Đình, Bảo tàng lịch sử quân sự Việt Nam, ...
Cộng đồng dân cư đa dang, dân trí cao: The Matrix One, Vinhome Smartcity, Vinhome Green bay,...
Pháp lý chuẩn chỉ, sổ đỏ có sẵn.
Liên hệ ngay: Mr Long
Xem thêm

Mọi thông tin, nội dung liên quan tới tin rao này là do người đăng tin đăng tải và chịu trách nhiệm. Guland.vn luôn cố gắng để các thông tin được hữu ích nhất cho quý vị tuy nhiên Guland.vn không đảm bảo và không chịu trách nhiệm về bất kỳ thông tin, nội dung nào liên quan tới tin rao này. Trường hợp phát hiện nội dung tin đăng không chính xác, Quý vị hãy thông báo và cung cấp thông tin cho Ban quản trị Guland.vn theo Hotline Chăm sóc khách hàng để được hỗ trợ nhanh và kịp thời nhất.
Tin đăng tương tự