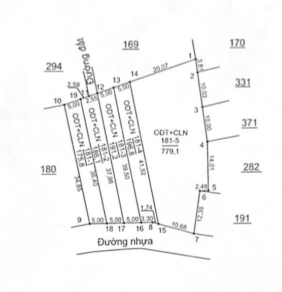
- 05 lô mặt tiền đường Phạm Văn Viễn, đã có bìa riêng từng lô.
- Diện tích 5x35m và 10x35m) có 60m² đất ở. Quy hoạch đất ở, chiều cao xây dựng 20m
- Vị trí: mặt tiền đường nhựa lớn, cách quốc lộ 51 khoảng 70m;
- Tiện ích: gần chợ Mỹ Xuân, KCN
Xem thêm
Mọi thông tin, nội dung liên quan tới tin rao này là do người đăng tin đăng tải
và chịu trách nhiệm. Guland.vn luôn cố gắng để các thông tin được hữu ích nhất
cho quý vị tuy nhiên Guland.vn không đảm bảo và không chịu trách nhiệm về bất kỳ
thông tin, nội dung nào liên quan tới tin rao này. Trường hợp phát hiện nội dung
tin đăng không chính xác, Quý vị hãy thông báo và cung cấp thông tin cho Ban
quản trị Guland.vn theo Hotline Chăm sóc khách hàng để được hỗ trợ nhanh và kịp
thời nhất.
Tính năng hoặc nội dung này chỉ dành cho thành viên của GuLand.vn
Bạn vui lòng Đăng ký hoặc Đăng nhập để xem và sử dụng
tính
năng dành riêng cho thành viên, hoặc vui lòng liên hệ chuyên viên tư vấn để được trợ giúp
và
hướng dẫn: