Bán nhà phố Mai Dịch – Cầu Giấy, phân lô, ô tô đỗ cửa, 62m2, Giá nhỉnh 15 tỷ

15.9 tỷ
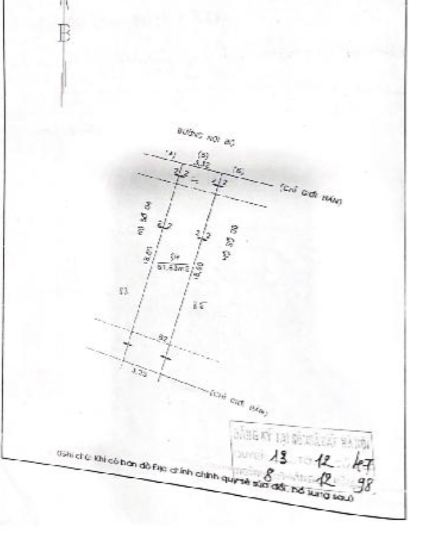
62m²
256.45 triệu /m²
4.82 tỷ /mn
Mã tin: 1265396 Cập nhật 1 tuần trước

Thông tin BĐS

Loại BĐS:
Chiều ngang:
3.3m
Chiều dài:
18.7m
Số tầng:
3
Hướng cửa chính:
Nam
Đường/hẻm vào rộng:
4m
Loại đường:
Đường nhựa
Bán nhà phố Mai Dịch – Cầu Giấy, phân lô, ô tô đỗ cửa, 62m2, Giá nhỉnh 15 tỷ
- Nhà nằm ở phố Mai Dịch, trung tâm Cầu Giấy, thuận tiện giao thông đi Hồ Tùng Mậu, Doãn Kế Thiện, Xuân Thủy, Phạm Văn Đồng, Lê Đức Thọ
- Xung quanh đầy đủ trường học các cấp, gần Đh Thương Mại, Sân Khấu Điện Ảnh, Quốc Gia, Sư Phạm...
- Hiện trạng là nhà 3 tầng dân dây BTCT chắc chắn, có thể sửa nâng tầng, gara ô tô
- Nhà 2 mặt ngõ thoáng trước sau, phân lô bàn cờ, ô tô chạy quanh nhà.
- Sổ hoa hậu sẵn sàng giao dịch
Anh chị quan tâm liên hệ Em Minh chuyên thổ cư khu vực Mỹ Đình, Lê Đức Thọ, Hồ Tùng Mậu, Cầu Giấy, Nguyễn Hoàng,Hoàng Quốc Việt….

Mọi thông tin, nội dung liên quan tới tin rao này là do người đăng tin đăng tải và chịu trách nhiệm. Guland.vn luôn cố gắng để các thông tin được hữu ích nhất cho quý vị tuy nhiên Guland.vn không đảm bảo và không chịu trách nhiệm về bất kỳ thông tin, nội dung nào liên quan tới tin rao này. Trường hợp phát hiện nội dung tin đăng không chính xác, Quý vị hãy thông báo và cung cấp thông tin cho Ban quản trị Guland.vn theo Hotline Chăm sóc khách hàng để được hỗ trợ nhanh và kịp thời nhất.
Tin đăng tương tự